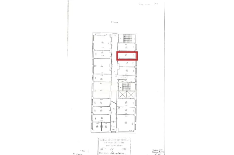
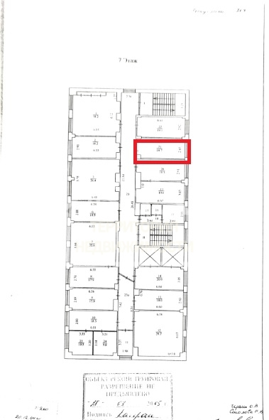
Офисное помещение 18,7м2 ул. Республики 207
| Населенный пункт | Тюмень |
|---|---|
| Район города | Ленинский округ |
| Улица | улица Республики |
| Номер дома | 207 |
Описание
БЕЗ КОМИССИИ ДЛЯ АРЕНДАТОРА!
Офисное помещение площадью 18,7 м² на 7/8 этаже административного здания. Стоимость: 15 895 ₽/мес. Коммунальные платежи включены. Предусмотрен ОБЕСПЕЧИТЕЛЬНЫЙ ПЛАТЕЖ.
- Планировка: кабинетная
- Отделка: офисная, косметический ремонт
- Высота потолков: 3,05 м
- Инженерные системы: вентиляция, кондиционирование, водопровод, канализация, электричество, центральное отопление
- Лифты: пассажирский
- Вход: 1-я линия, общий вход с улицы
- Парковка: уличная
Отличный вариант для компактного и функционального офиса: светло, аккуратно, все коммуникации подключены, здание на первой линии — удобно для сотрудников и клиентов.
Подписывайтесь на аккаунт, чтобы быть в курсе новых предложений.
Возможно, вы нашли меня по таким запросам как: офисное помещение, помещение свободного назначения, снять помещение свободного назначения, помещение свободного назначения в аренду, снять ПСН, ПСН, снять помещение в аренду, коммерческая недвижимость аренда, снять коммерческое помещение, снять торговое помещение, торговое помещение первая линия, снять торговую площадь, торговая площадь, помещение с мокрой точкой, помещение мокрая точка, помещение под магазин, торговая точка, помещение под торговлю в аренду, снять помещение в аренду, помещение свободного назначения, снять помещение свободного назначения, помещение свободного назначения в аренду
| Сведения о недвижимости | |
|---|---|
| ID | 15885 |
| Коммунальные услуги включены | Да |
| Тип здания | Административное здание |
| Тип парковки | На улице |
| Вход cian (avito) | Общий с улицы |
| Отделка помещения коммерческая | Офисная |
| Залог (avito) | 1 месяц |
| Тип коммерческой | Офисное помещение |
| Площадь, кв.м. | 18.7 |
| Этаж | 7 |
| Этажность | 8 |
| Высота потолков м. | 3.05 |
| Отопление - коммерческая avito | Центральное |
| Стоимость | 15 895 руб. |








