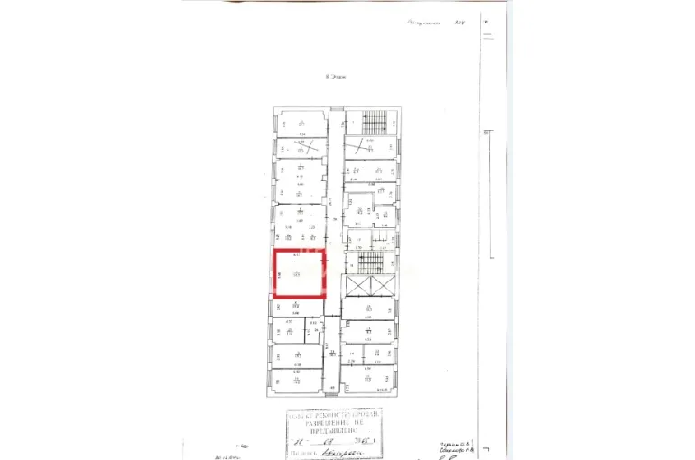
Офисные помещения 34,5м2 ул. Республики 207
| Населенный пункт | Тюмень |
|---|---|
| Район города | Ленинский округ |
| Улица | улица Республики |
| Номер дома | 207 |
Описание
Аренда без комиссии!
Расположение и характеристики объекта:
- Ленинский округ
- 1 линия ул. Республики
- Рядом остановка общественного транспорта
- Наличие парковочных мест
- Высокий пешеходный и автомобильный трафик
- 8 этаж
- Общая площадь 34,5 кв.м
- Кабинетная система
- Высота потолка 3,05 м
- Отдельный вход
- Помещение с ремонтом
- в офисе установлен кондиционер
- Санузел на этаже
- Наличие лифтов (2шт)
- В здании наличие поста охраны
- Коммунальные платежи включены в арендную ставку
Вам понравилось помещение и хотите его посмотреть? Звоните!
| Сведения о недвижимости | |
|---|---|
| ID | 15590 |
| Коммунальные услуги включены | Да |
| Отделка помещения коммерческая | Офисная |
| Тип коммерческой | Офисное помещение |
| Площадь, кв.м. | 34.5 |
| Этаж | 8 |
| Этажность | 8 |
| Высота потолков м. | 3.05 |
| Стоимость | 29 325 руб. |









